
Kiinteistökehitystontti Malmi Helsinki
Tarjousten perusteella | 2’610 m² (RO 4 680 m²) | Kirkonkyläntie 37, Helsinki

Kohdetta välittää
KTM, LKV Antti Soivio
- 0400 446553
- [javascript protected email address]

Myydään kiinteistökehitystontti asuinrakentamiseen Helsingin Malmilla!
Todella hyvällä paikalla tontti, jonka kaavamuutos asuinkäyttöön on käynnistetty (myydään niin, että kaavamuutos on lainvoimainen). Ostaja pääsee vielä tarvittaessa vaikuttamaan kaavan yksityiskohtiin. Tontti täyttää Helsingin kaupungin AM-ohjelman kriteerit.
Kaupan kohteena on kiinteistöyhtiön (Y-tunnus 2660881–5) osakekanta, mikä myydään velattomana.
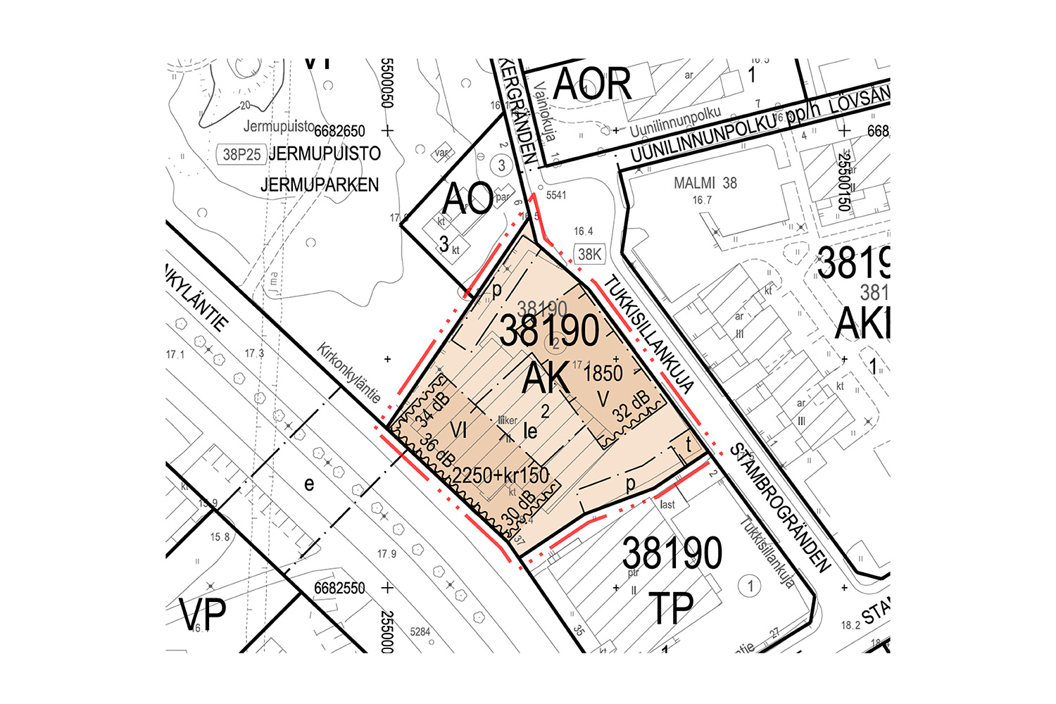
Tontin pinta-ala on 2610 m² ja asuinrakennusoikeus tontille on 4680 m² (Bruttokerrosalaa). Tontin yksi reuna rajoittuu viereiseen Jermupuistoon ja yksi Kirkonkyläntielle ja muut kaksi viereisiin tontteihin. Tontilla on purettava vanha kivirakenteinen liiketalo, minkä purkukuluista vastaa ostaja. Lisäksi kaavoitusmaksusta vastaa ostaja, joka on arviolta noin 680’000 €. PIMA-tutkimus on tehty ja tontti on puhdas.
Kohde myydään tarjousten perusteella (myyjällä on oikeus hyväksyä/hylätä saadut tarjoukset). Ilmoituksessa olevat kuvat ovat julkisia havainnekuvia.
Hyvällä sijainnilla ja lähellä Malmin palveluja. Kohteen läheisyyteen Kirkonkyläntielle on lisäksi linjattu Helsingin yleiskaavassa pikaraitiotie Raide-Jokeri 2. Lisäksi Viikin-Malmin pikaraitiotien päätepysäkki tulisi mahdollisesti sijoittumaan kohteen eteläpuolelle Malmin sairaalan kohdalle. Kilometrin päässä on Malmin Prisma ja juna-asema sekä Kehä I liittymään kaksi kilometriä.
Katso kaavamuutoksesta lisää tästä.
Hyvällä sijainnilla ja sujuvien liikenneyhteyksien päässä kiinteistökehitystontti myynnissä!
Kohdetiedot
Sijainti
Katuosoite: Kirkonkyläntie 37, 00700 Helsinki
Kaupunginosa: Malmi
Tontti
Kiinteistötunnus: 91-38-190-2
Pinta-ala: 2’610 m²
Rakennusoikeus: 4680 m² (Bruttokerrosalaa)
Myyntihinta
Myyntihinta: Tarjousten perusteella

